Hírek
2013. Április 11. 09:31, csütörtök |
Helyi
Forrás: Baranya Megyei Rendőr-főkapitányság
Vezetni biztonsággal
Az első fordulóval beindul a Pécs Városi Baleset-megelőzési Bizottság és a Pécs-Baranya Közbiztonsági Alapítvány „Vezetni Biztonsággal” négy fordulós vetélkedősorozata.

A vetélkedő lényege, a közlekedők figyelmét ráirányítsa a balesetek kiszámíthatatlanságára, a baleseti okokra.
Minden forduló egy baleseti szituációt jelenít meg. A vetélkedőben részt vevő személy feladata a felvázolt közlekedési szituációk értelmezését követően válaszolni a feltett kérdésekre.
A fordulók végén a helyes megfejtők között három - három ajándékcsomagot sorsolunk ki. Aki mind a négy fordulóra beküldi a helyes megfejtést, azok között is kisorsolunk három értékes ajándékcsomagot.
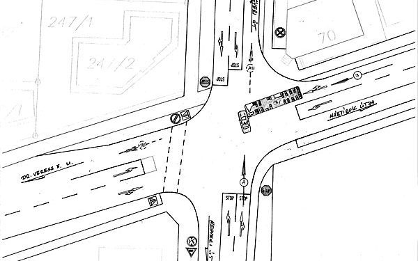
„A” személygépkocsi közlekedett Pécsett a Megyeri úton, a Verseny utca irányából a József Attila út irányába. Haladása során a Mártírok úti kereszteződésbe behajtva a gépkocsi elejével nekiütközött a tőle jobbról érkező, a Mártírok útján a Dr. Veress E. u. irányába közlekedő Busz elejének.

Ki volt és milyen szabályt hagyott figyelmen kívül a baleset okozója?
A balesettel érintett járművezetőnek milyen kötelezettségei vannak?
A válaszokat kérjük 2013. április 18. (csütörtök) 12,00 óráig beküldeni a Pécs Városi Baleset-megelőzési Bizottság címére: 7622 Pécs, Vargha D. u. 3., vagy a gradvolts@baranya.police.hu címre. A megfejtésen kérjük feltüntetni: „Vezetni biztonsággal” I. forduló.
Ezek érdekelhetnek még
2026. Április 17. 11:20, péntek | Helyi
Mit ér az ember? - interaktív előadás lesz a Dombóvári Művelődési Házban
Mikortól ember az ember? Miben rejlik az emberi élet értéke? Van-e olyan, hogy egyik ember élete értékesebb egy másikénál? - Többek közt ezekre a kérdésekre keresik a választ a Dombóvári Művelődési Házban.
2026. Április 15. 00:00, szerda | Helyi
A Dombóvári Szuperinfó legújabb száma oldalunkon már olvasható
Ha szeretné rendszeresen és mielőbb megkapni újságunkat online postaládájába, iratkozzon fel email címével az alábbi oldalon:
2026. Április 14. 10:00, kedd | Helyi
Orbán Viktor nem adja fel, újjászervezné a Fideszt
Kezdődik a munka, újjászervezzük magunkat és küzdünk tovább a magyar emberekért - írta Orbán Viktor miniszterelnök Facebook-bejegyzésében hétfőn este. Közölte azt is, hogy április 28-án választmányi ülést tartanak.
2026. Április 07. 11:33, kedd | Helyi
Veszettség elleni eboltást tartanak Dombóváron
Dombóváron az ebek 2026. évi veszettség elleni kötelező védőoltása az alábbi helyeken és időpontokban történik:

